Video

Advertisement


तमिलनाडु के करीब पहुंचा मिचौंग तूफान
new delhi, Michong storm, Tamil Nadu

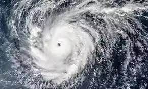
नई दिल्ली। मिचौंग तूफान तमिलनाडु के करीब पहुंच गया है। इसके मद्देनजर भारत मौसम विज्ञान विभाग ने भारी बारिश का अलर्ट जारी किया गया। विभाग ने शनिवार को एक्स पर बताया कि दक्षिण -पश्चिम की तरफ से निम्न दबाव का क्षेत्र पिछले छह घंटों के दौरान आगे उत्तर -पश्चिम की ओर बढ़ गया है। यह निम्न दवाब का क्षेत्र गहरे दबाव क्षेत्र में बदल गया है। आज सुबह साढ़े पांच बजे तक पुदुचेरी के लगभग 500 कि.मी., चेन्नई के 510 कि.मी. और नेल्लोर से 630 कि.मी. पर केंद्रित था। अगले 24 घंटों के दौरान इसके पश्चिम-उत्तर पश्चिम की ओर बढ़ने और चक्रवाती तूफान में तब्दील होने की संभावना है।

 

मौसम विज्ञान विभाग के अनुसार बंगाल की खाड़ी में तेजी से बढ़ते मिचौंग तूफान के तेज होने की वजह से शनिवार से तमिलनाडु के 12 जिलों में मध्यम तूफान, बिजली गिरने और बारिश की संभावना है। तमिलनाडु के नागापट्टिनम, मयिलादुथुराई, तिरुवरुर, रामनाथपुरम, तिरुप्पुर, डिंडीगुल, तेनकासी, विरुधुनगर, थूथुकुडी, तिरुनेलवेली कन्याकुमारी और कराईकल जिलों में अलग-अलग जगहों पर मध्यम गरज और आकाशीय बिजली गिरने की संभावना है।

 

उल्लेखनीय है कि तमिलनाडु में चक्रवाती तूफान की आशंका के बीच मुख्यमंत्री एमके स्टालिन ने शुक्रवार को सभी संबंधित अधिकारियों को चक्रवात से प्रभावित होने की संभावना वाली जगहों से लोगों को निकालने समेत एहतियाती कदम उठाने का निर्देश दिया। कैबिनेट सचिव राजीव गौबा की अध्यक्षता वाली राष्ट्रीय संकट प्रबंधन समिति ने बंगाल की खाड़ी में बन रहे चक्रवात ‘मिचौंग' के लिए राज्य सरकारों और केंद्रीय मंत्रालयों और विभागों की तैयारियों की शुक्रवार को समीक्षा की।

Kolar News 2 December 2023

Comments

Be First To Comment....

Page Views

  • Last day : 8796
  • Last 7 days : 47106
  • Last 30 days : 63782
x
This website is using cookies. More info. Accept
All Rights Reserved ©2026 Kolar News.